Accessibility links

Breaking News

Weakened Typhoon Soudelor Kills 8 in China

update

Rescue workers walk on a flooded street at a town hit by Typhoon Soudelor in Ningde, Fujian province, China, Aug. 9, 2015.
Rescue workers walk on a flooded street at a town hit by Typhoon Soudelor in Ningde, Fujian province, China, Aug. 9, 2015.

Heavy rain continued Sunday in southeastern China where the remnants of Typhoon Soudelor moved further inland leaving flooding and at least 14 people dead.

The system, which was downgraded to a tropical storm, hit China's Fujian and Zhejiang provinces the hardest, killing eight people there while triggering mudslides. It knocked out power to more than a million people, and authorities said 250,000 were evacuated from their homes.

On Saturday, the storm swept across Taiwan with maximum sustained winds of about 160 kilometers an hour, leaving 3 million households without power and littering roadways with uprooted trees. More than 300 international and domestic flights were grounded.

Officials in Taiwan said the typhoon killed at least six people there. An 8-year-old girl, her mother and twin sister were among the dead or missing after being swept out to sea along the country's east coast.

A man takes a photo of a damaged tree and car after typhoon Soudelor hit Taipei, Aug. 8, 2015, in Taipei, Taiwan.
A man takes a photo of a damaged tree and car after typhoon Soudelor hit Taipei, Aug. 8, 2015, in Taipei, Taiwan.

Television footage showed people stranded on flooded riverbanks and mudslides surging into mountain villages. Some areas have received up to 1,000 millimeters (almost 40 inches) of rain over two days.

Soldiers and rescue crews with search dogs worked through mud and debris Sunday to begin recovery efforts following the storm.

Though the typhoon weakened before reaching land, forecasters said it was at one point the strongest typhoon so far this year.

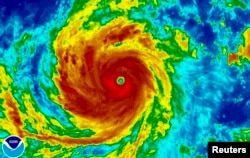
Super Typhoon Soudelor is seen in an enhanced infrared NOAA satellite image taken in the Western Pacific Ocean at 08:32 ET (12:32 GMT) August 4, 2015. Soudelor, deemed the strongest storm of 2015,
Super Typhoon Soudelor is seen in an enhanced infrared NOAA satellite image taken in the Western Pacific Ocean at 08:32 ET (12:32 GMT) August 4, 2015. Soudelor, deemed the strongest storm of 2015,

  • 16x9 Image

    VOA News

    The Voice of America provides news and information in more than 40 languages to an estimated weekly audience of over 326 million people. Stories with the VOA News byline are the work of multiple VOA journalists and may contain information from wire service reports.

XS
SM
MD
LG