Accessibility links

Breaking News

China, Japan Brace for Super Typhoon


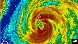
A weather satellite image obtained from the National Oceanic and Atmospheric Administration shows Typhoon Muifa near Okinawa, Japan at 1130 GMT on August 4, 2011
A weather satellite image obtained from the National Oceanic and Atmospheric Administration shows Typhoon Muifa near Okinawa, Japan at 1130 GMT on August 4, 2011

A super typhoon is barreling into the East China Sea toward Shanghai with winds up to 198 kilometers per hour at its core.

Chinese authorities have begun ordering fishing boats back to shore, while Japanese officials have canceled flights in Okinawa, stranding hundreds of passengers.

Late Thursday, Typhoon Muifa was positioned near the Ryukyu Islands, midway between Japan's main islands and Taiwan. China's National Marine Environmental Forecasting Center said it could produce waves of six to nine meters as it churns northwestward through the East China Sea at about 15 kilometers per hour.

In Shanghai, authorities warned the storm could be as powerful as 2005's Typhoon Matsa when it comes ashore sometime Saturday or Sunday. Matsa killed four people and caused more than $15 million in damage.

Muifa claimed five lives as it passed through the northern and central Philippines earlier this week.


Some information for this report was provided by AP and Reuters.

XS
SM
MD
LG