Accessibility links

Breaking News

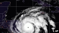
Hurricane Iota Now a ‘Catastrophic’ Category 5 Storm  

update

This satellite image made available by NOAA shows Hurricane Iota in the North Atlantic Ocean on Monday, Nov. 16, 2020, at 07:11 EST. (NOAA via AP)
This satellite image made available by NOAA shows Hurricane Iota in the North Atlantic Ocean on Monday, Nov. 16, 2020, at 07:11 EST. (NOAA via AP)

U.S. forecasters say Hurricane Iota has strengthened to a catastrophic Category 5 storm as it nears landfall with Nicaragua.

In its latest report, the National Hurricane Center says Iota is closing in on Nicaragua, where it is expected to bring “catastrophic winds, life-threatening storm surge, and torrential rainfall.”

Iota, currently packing maximum sustained winds of 260 kilometers per hour, is expected to make landfall in almost the exact location where Hurricane Eta came ashore two weeks ago.

Authorities in Honduras and Nicaragua rushed to evacuate their respective citizens from coastal areas Monday ahead of the storm.

"What's drawing closer is a bomb," Honduran President Juan Orlando Hernandez said at a news conference alongside Guatemalan President Alejandro Giammattei.

Hurricane Eta killed at least 50 people, destroyed buildings, knocked out power and caused flooding and landslides.

Iota is the record-breaking 30th named storm of the 2020 hurricane season. Along with Eta, it marks the first time that two major hurricanes have formed in the month of November.

It is also the 10th named storm to strengthen by more than 55.5 kph in a 24-hour period. Meteorologists attribute the effect to warm waters in the southern Caribbean.

  • 16x9 Image

    VOA News

    The Voice of America provides news and information in more than 40 languages to an estimated weekly audience of over 326 million people. Stories with the VOA News byline are the work of multiple VOA journalists and may contain information from wire service reports.

XS
SM
MD
LG