Accessibility links

Breaking News

Hurricane Genevieve Threatens Mexican Peninsula


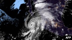
This RAMMB/NOAA satellite image obtained on Aug. 19, 2020, shows Hurricane Genevieve moving towards Baja California on Aug. 19, 2020, at 5:10:21 UTC.
This RAMMB/NOAA satellite image obtained on Aug. 19, 2020, shows Hurricane Genevieve moving towards Baja California on Aug. 19, 2020, at 5:10:21 UTC.

Forecasters are keeping a close watch on Hurricane Genevieve in the Pacific, which generated rough seas and where authorities said two people drowned.

The U.S. National Hurricane Center said a hurricane warning is in effect for parts of the Mexican peninsula, including the resorts of Los Cabos and the town of Todos Santos.

Civil protection officials in Los Cabos are urging people to remain at home.

The hurricane center said the center of Genevieve is expected to move into the vicinity of the Baja, California, peninsula Thursday.

A tropical storm warning is in effect for the west coast of the Baja, California, peninsula from north of Todos Santos to Cabo San Lazaro.

U.S. forecasters warn heavy rainfall from Genevieve could produce life threatening conditions, including flooding, mudslides, and rip currents in the southern end of Baja, California Sur.

Genevieve formed into a tropical storm Sunday night and quickly grew into a Category 4 hurricane before losing some intensity.

  • 16x9 Image

    VOA News

    The Voice of America provides news and information in more than 40 languages to an estimated weekly audience of over 326 million people. Stories with the VOA News byline are the work of multiple VOA journalists and may contain information from wire service reports.

XS
SM
MD
LG